关于河北拓凯汽车配件有限公司建设年产100万套发动机支架项目方案批前公示的公告
体裁分类:公告公示 主题分类:其他 发布时间: 2026-03-12 发布机构:经济开发区 浏览次数:71 字体:[大 中 小]

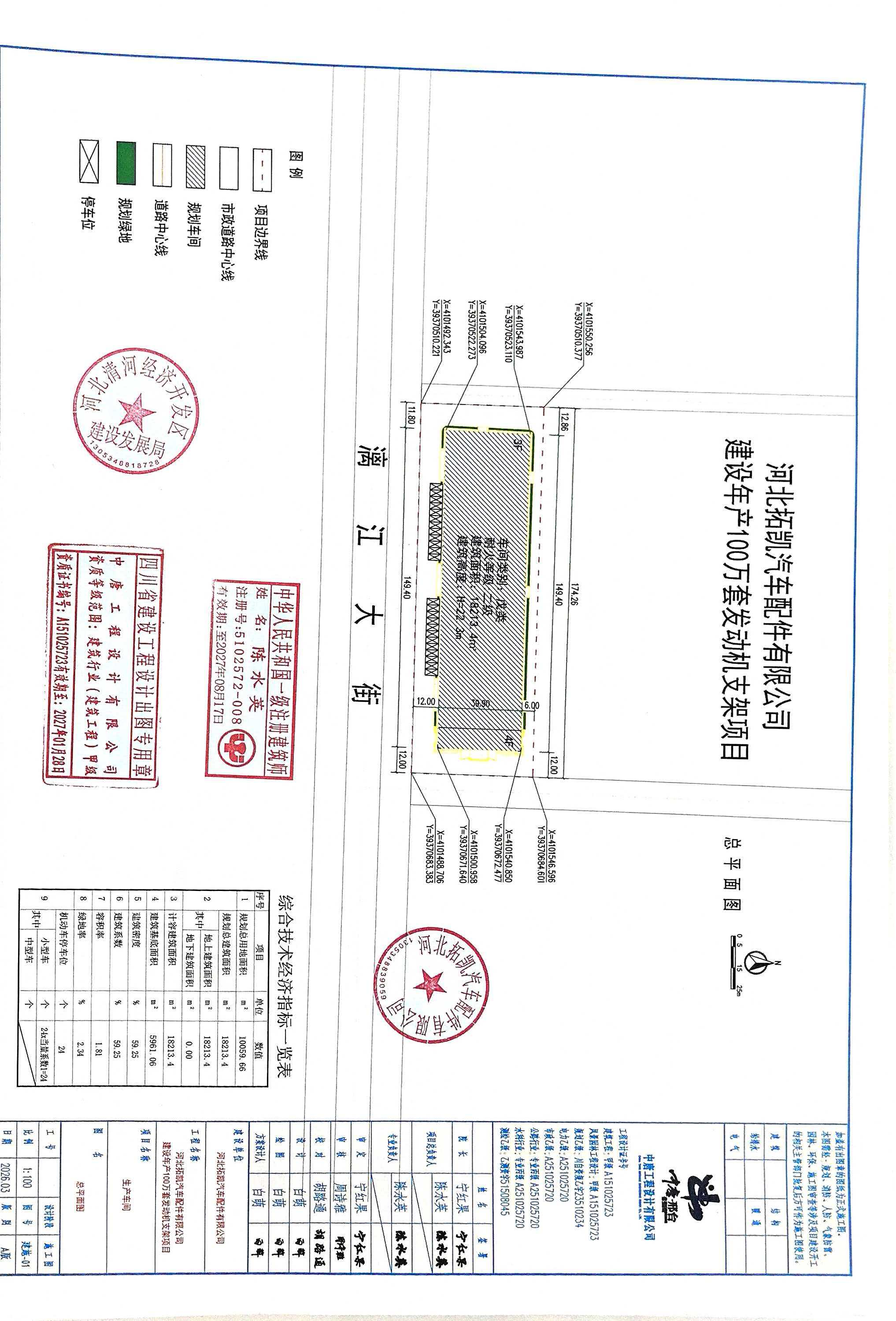
2287ee168f4ac14057f88c42cf913254.jpg

db0bb059c8122a9ae0a512e17fccab52.jpg
体裁分类:公告公示 主题分类:其他 发布时间: 2026-03-12 发布机构:经济开发区 浏览次数:71 字体:[大 中 小]

2287ee168f4ac14057f88c42cf913254.jpg

db0bb059c8122a9ae0a512e17fccab52.jpg