清河县自然资源和规划局关于昭友璟瑞府项目规划设计方案调整的公告
体裁分类:公告公示 主题分类:国土资源、能源 文号:清自然技字[2026]04号 发布时间: 2026-01-15 发布机构:自然资源和规划局 浏览次数:21 字体:[大 中 小]

昭友璟瑞府1.jpg

昭友璟瑞府2.jpg

昭友璟瑞府项目变更前总图.png

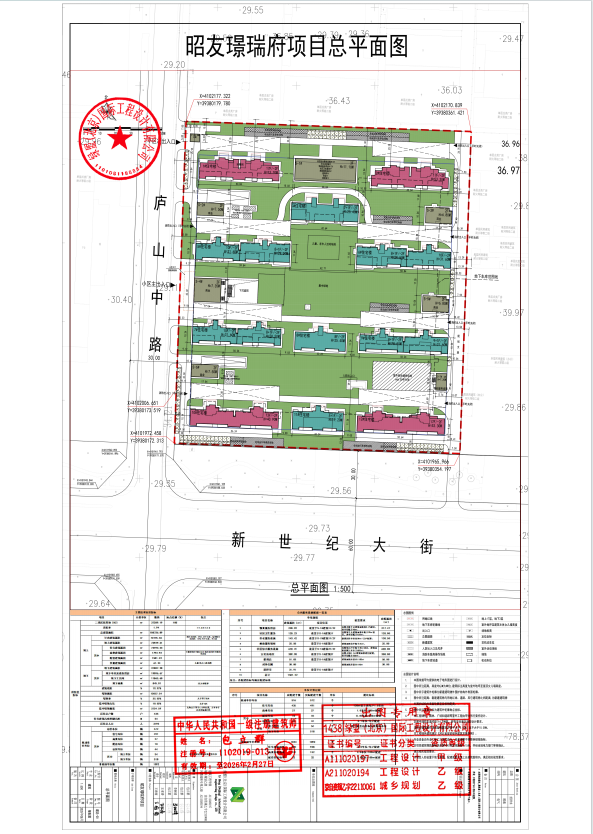
昭友璟瑞府项目变更后总图.png

昭友璟瑞府项目变更后单体S-2#.png

昭友璟瑞府项目变更后单体S-4#.png

昭友璟瑞府项目变更后单体S-4#1.png

昭友璟瑞府项目变更后单体S-4#2.png

昭友璟瑞府项目变更后单体S-5#.png